Witamy, Gość
Nazwa użytkownika: Hasło: Zapamiętaj mnie

TEMAT: Gdy rodek stwarza problem

Gdy rodek stwarza problem 2019/12/01 13:09 #183555

  • Lucy
  • Lucy Avatar
  • Wylogowany
  • Świeżak
  • Posty: 6
  • Otrzymane podziękowania: 21
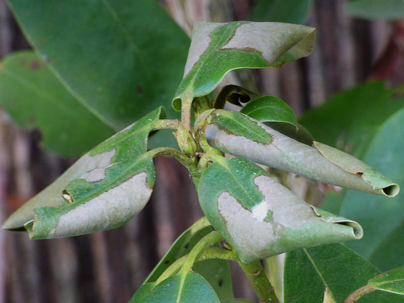
Mój posadzony wiosną 'Tortoiseshell Orange' niestety nie jest okazem zdrowia, podżerają go opuchlaki (mimo regularnego pojenia wrotyczem), ma objawy chlorozy (odwieczny problem u mnie, mimo przygotowania stanowiska i regularnych starań), a do tego ma takie rdzawe plamy jak na zdjęciu. Czy to jakiś grzyb? Czym to zwalczyć?



Załączniki:
Ostatnio zmieniany: 2019/12/01 13:10 przez Lucy. Powód: Foto obrócone
Administrator wyłączył możliwość publicznego pisania postów.

Gdy rodek stwarza problem 2019/12/15 10:43 #184290

  • nelu-pelu
  • nelu-pelu Avatar
  • Wylogowany
  • Platynowy forowicz
  • Posty: 7726
  • Otrzymane podziękowania: 18465
A u mnie na Claudine pojawiły się takie niepokojące przebarwienia na liściach.. :(
Fotki wczorajsze - wcześniej nic nie zauważyłam..





Pozdrawiam, Nela
Moje metamorfozy - zapraszam
Administrator wyłączył możliwość publicznego pisania postów.


--=reklama=--

 

Gdy rodek stwarza problem 2019/12/15 16:30 #184302

  • krys
  • krys Avatar
  • Wylogowany
  • Złoty forowicz
  • Posty: 183
  • Otrzymane podziękowania: 623
Wg mnie jest niedożywiony, wiosną w marcu zrobisz mu dolistny oprysk żelaza, Pinii oraz jakimś wieloskładnikowym ( łącznie), opryskasz co kilka dni i wszystko minie.
Krystyna
Ostatnio zmieniany: 2019/12/15 16:38 przez krys.
Administrator wyłączył możliwość publicznego pisania postów.
Za tę wiadomość podziękował(a): nelu-pelu

Gdy rodek stwarza problem 2019/12/17 10:12 #184447

  • nelu-pelu
  • nelu-pelu Avatar
  • Wylogowany
  • Platynowy forowicz
  • Posty: 7726
  • Otrzymane podziękowania: 18465
Dzięki Krysiu, oby to było tylko to...
Pozdrawiam, Nela
Moje metamorfozy - zapraszam
Administrator wyłączył możliwość publicznego pisania postów.

Gdy rodek stwarza problem 2019/12/21 02:10 #184739

  • th
  • th Avatar
  • Wylogowany
  • Administrator
  • Posty: 6610
  • Otrzymane podziękowania: 19294
Lucy... nie mam pewności, czy to grzyb... a pokażesz spodnią stronę? Tak czy inaczej te liście zalecałabym usunąć... ja obrywam każdy niepodobający mi się liść a już z plamami musowo... wiosną prewencyjna kuracja antygrzybowa a potem wzmacniająca... i poproszę o dalszą relację z zachowywania się tego rodka.

Czasem uszkodzenie na liściach mogą też być spowodowane związkami znajdującymi się w powietrzu... nie masz jakiegoś truciciela w pobliżu?

Piszesz też, że masz problem z chlorozą... a czy wiesz, że ona może powstać nie tylko na skutek braku odpowiedniego nawożenia i nieodpowiedniego pH gleby, lecz także na skutek przenawożenia i zasolenia podłoża?


Nelu... u Ciebie to prawdziwy ambaras... w klasycznej chlorozie tkanki pomiędzy nerwami liści stają się żółte, a same nerwy zielone... to jest taka zielona siatka żyłek... tu na plan pierwszy wybija się przebarwienie samych brzegów Klaudyny i nie są one tyle żółtawe, co rudawe czy brązowawe... tak mi się przynajmniej wydaje... możesz jeszcze zrobić maksymalne zbliżenie wierzchu i spodu takiego pojedynczego liścia z przebarwieniami... tylko żeby nie był mokry... i wyznaj tu nam jak na spowiedzi, czym i ilukrotnie oraz w jakim terminie nawoziłaś tego rodka i czy nie poczęstowałaś go jeszcze czymś extra?

Minął tydzień od tych pierwszych zdjęć... nie wiem, czy jeszcze wylądujesz na działce... jeśli tak, to oceń, czy przebarwienie przybiera na sile, rozszerza się czy stan rzeczy nie uległ zmianie?


Strefa cienia... zapraszam... Monika :)
Administrator wyłączył możliwość publicznego pisania postów.
Za tę wiadomość podziękował(a): edulkot, nelu-pelu

Gdy rodek stwarza problem 2019/12/21 14:41 #184745

  • nelu-pelu
  • nelu-pelu Avatar
  • Wylogowany
  • Platynowy forowicz
  • Posty: 7726
  • Otrzymane podziękowania: 18465
Dzięki Monik...
Dopiero w nowym roku zrobię kolejne fotki...

Nie wiem czym mogłam mu zaszkodzić... zasilałam dolistnie latem Magiczną siłą, nie przesadzam
z nawozami, daję raczej mniej niż więcej... zobaczymy..
Pozdrawiam, Nela
Moje metamorfozy - zapraszam
Administrator wyłączył możliwość publicznego pisania postów.

Gdy rodek stwarza problem 2020/04/07 19:29 #196191

  • edulkot
  • edulkot Avatar
  • Wylogowany
  • Moderator
  • Posty: 11122
  • Otrzymane podziękowania: 27068
Monia przyszłam z problemem i to sporym, dotyczy nie tylko jednego rodka, ale z dnia na dzień coraz więcej rodków dostaje takie objawy.

Kalinka







a jeszcze 08.02. wyglądała tak ślicznie






Błagam Cię potwierdź że to tylko przypalenia od ostrego słońca i mroźnego wiatru think:
Majka - "Pamiętajcie o ogrodach"
Administrator wyłączył możliwość publicznego pisania postów.
Za tę wiadomość podziękował(a): th, zanetatacz

Gdy rodek stwarza problem 2020/04/09 00:39 #196324

  • th
  • th Avatar
  • Wylogowany
  • Administrator
  • Posty: 6610
  • Otrzymane podziękowania: 19294
Majko... najpierw - jak tylko spojrzałam na zdjęcia i zauważyłam, że liście 'Kalinki' podświetla słońce - pomyślałam sobie, że ani chybi te plamy to efekt kumulacji słonka i mroźnych poranków, jakie ostatnio przetoczyły przez nasze ogrody (u mnie to było, licząc tak od połowy marca, 4 noce na minusie, 3 na plusie, 6 na minusie, 2 na plusie i kolejne 4 znów na minusie, 2 na plusie i ostatni minus w ubiegłą sobotę)... a przypomnę, że pomiędzy tymi mroźnymi falami, mieliśmy wyjątkowo ciepłe dni z temperaturą po kilkanaście stopni (u mnie to było 12-14-17-14 °C a w następnym rzucie 12-15-17-14 °C) zatem sporo ponad normę marcową... i dopiero potem przeczytałam Twoje ostatnie zdanie... zatem doszłyśmy do tego samego wniosku... a pamiętasz może, czy te dni z mroźnymi porankami były u Ciebie faktycznie słoneczne?

Ja z przypaleniem u 'Petera Alana' miałam do czynienia dwukrotnie w 2017 i w 2018 roku, ale pierwszych objawów czyli plam nie wyłapałam, bo nie wychodziłam podówczas do ogródka... dopiero widok zza szyby na poły rozprostowanych, na poły zrulowanych liści - przy braku mrozu - na tyle mnie zastanowił, że zeszłam i odkryłam przykrą prawdę... zostawiam dla porównania foty... poobserwuj, czy liście 'Kalinki' w ciągu najbliższego miesiąca będą ewoluować w tym kierunku.


Wiem tyle, że początek marca 2018 to był niezły mróz, bo mam zdjęcia innych rodków z opuszczonymi i zwiniętymi liśćmi... czy wtedy był jakiś słoneczny a mroźny dzień czy może wcześniej, tego niestety nie kojarzę... w każdym razie 2 tygodnie później czyli w połowie marca 'Peter Alan' wyglądał tak :(









Po kolejnym tygodniu





I po kolejnych 2 tygodniach





Liście przypalone to liście stracone, martwe... no i estetykę psują dokumentnie... stąd ja 'Peterowych', nie wszystkich wprawdzie naraz, ale po trochu... by nie przeżywać kolejnej tortury na widok łysielca... się wyzbywałam

A to ówczesne kwitnienie i 'Peter Alan' w ażurowej wersji gwizdac



W tym roku 'Peter' bez przypaleń... u mnie jednak pochmurno było w marcu... za to wypryszczony od grzybowych plamek, że szkoda gadać... krecigl znów zanadto go dopieściłam i podlałam (czytaj: przelałam) w porze późnojesienno zimowej... po kokardki a raczej ponad... zatem też będę liście skubać... taa... :(


Strefa cienia... zapraszam... Monika :)
Ostatnio zmieniany: 2020/04/09 02:41 przez th.
Administrator wyłączył możliwość publicznego pisania postów.
Za tę wiadomość podziękował(a): Poll, edulkot, a.nia

Gdy rodek stwarza problem 2020/04/09 01:06 #196327

  • Poll
  • Poll Avatar
  • Wylogowany
  • Administrator
  • Czciciel gwiazd i mądrości, miłośnik ogrodów...
  • Posty: 28697
  • Otrzymane podziękowania: 80838
Racja, u mnie, w ostatnim tygodniu sporo różaneczników tak ucierpiało. Gorące, słoneczne dni z wysuszającymi wiatrami a potem spore mrozy.... Na efekty nie trzeba było długo czekać.






fot.06.04.2020r.
.
Administrator wyłączył możliwość publicznego pisania postów.
Za tę wiadomość podziękował(a): th, edulkot

Gdy rodek stwarza problem 2020/04/09 08:15 #196334

  • edulkot
  • edulkot Avatar
  • Wylogowany
  • Moderator
  • Posty: 11122
  • Otrzymane podziękowania: 27068
Były mrozy przy pełnym słońcu, do tego lodowaty wschodni wiatr, a dęby golutkie.
Liście idą właśnie w tym kierunku, te najbardzie zwinięte wczoraj obcięłam.
Najgorsze że prawie wszystkie rodki zaczynają mieć poparzone liście. Muszę zrobić zdjęcia.
I przeanalizować czy rzeczywiście chcę każdego roku oglądać tali widok.
Majka - "Pamiętajcie o ogrodach"
Administrator wyłączył możliwość publicznego pisania postów.
Za tę wiadomość podziękował(a): th

Gdy rodek stwarza problem 2020/04/09 17:05 #196355

  • nelu-pelu
  • nelu-pelu Avatar
  • Wylogowany
  • Platynowy forowicz
  • Posty: 7726
  • Otrzymane podziękowania: 18465
Mój jeden rodek nie rośnie w słońcu a ma podobne symptomy jak Majki...
Na wszelki wypadek opryskałam przeciw grzybom...

20200408

Pozdrawiam, Nela
Moje metamorfozy - zapraszam
Administrator wyłączył możliwość publicznego pisania postów.
Za tę wiadomość podziękował(a): th

Gdy rodek stwarza problem 2020/04/09 20:51 #196386

  • th
  • th Avatar
  • Wylogowany
  • Administrator
  • Posty: 6610
  • Otrzymane podziękowania: 19294
Nelu... to nie jest przypalenie, lecz klasyczny przykład chlorozy... dobrze widoczne, zielone nerwy na tle żółtawych liści... dokarmisz, zakwasisz tudzież zapodasz oprysk chelatem żelaza i będzie dobrze :zdrowko
Strefa cienia... zapraszam... Monika :)
Administrator wyłączył możliwość publicznego pisania postów.
Za tę wiadomość podziękował(a): nelu-pelu

Gdy rodek stwarza problem 2020/04/09 21:02 #196391

  • nelu-pelu
  • nelu-pelu Avatar
  • Wylogowany
  • Platynowy forowicz
  • Posty: 7726
  • Otrzymane podziękowania: 18465
Monik fotka słaba, ale to bardziej takie rdzawe przebarwienia.. chlorozę mam na innych.. :P

Oczywiście podziałam jak już będzie woda...
Pozdrawiam, Nela
Moje metamorfozy - zapraszam
Administrator wyłączył możliwość publicznego pisania postów.
Za tę wiadomość podziękował(a): th

Gdy rodek stwarza problem 2020/04/10 02:18 #196433

  • th
  • th Avatar
  • Wylogowany
  • Administrator
  • Posty: 6610
  • Otrzymane podziękowania: 19294
Poproszę zatem o kolejną fotę... to zdjęcie sobie przyciemniłam, zwiększyłam kontrast i... faktycznie są maleńkie, brązowe plamki nakładające się na zmiany chlorystyczne... ale plam występujących na rodkach Majki to mi one nie przypominają... są pojedyncze, nie zlewają się w całe połacie... w każdym razie niedoborowi pierwiastka zaradzisz, natomiast liść przypalony to liść stracony... zobaczymy wkrótce... a jaki to rodek?

A co z 'Klaudyną' i jej przebarwieniami na brzegach liści? Interesował mnie ich kolor think:

A 'Kabatett' jak się ma? Zaczęłaś walkę z fytoftorozą?


Strefa cienia... zapraszam... Monika :)
Administrator wyłączył możliwość publicznego pisania postów.
Za tę wiadomość podziękował(a): nelu-pelu

Gdy rodek stwarza problem 2020/04/10 13:31 #196455

  • zanetatacz
  • zanetatacz Avatar
  • Wylogowany
  • Platynowy forowicz
  • Posty: 10798
  • Otrzymane podziękowania: 25504
i ja walczę z dwoma rodkami- Goldbuket to jest od ubiegłego roku lichy


i drugi tego to mi bardzo szkoda bo okazały już był i niby z tych odpornych


jedną gałąź ułamałam -sucha była ,na razie dostał previcur energy i biosept,no i go odkopałam bo trochę był za mocno zasypany
pozdrawiam Żaneta
"Człowiek potrzebuje do życia ogrodów i bibliotek"-Cyceron
597 metrów zieloności
Ostatnio zmieniany: 2020/04/10 13:49 przez zanetatacz.
Administrator wyłączył możliwość publicznego pisania postów.
Za tę wiadomość podziękował(a): th

Gdy rodek stwarza problem 2020/06/19 21:41 #205541

  • dultom
  • dultom Avatar
  • Wylogowany
  • Platynowy forowicz
  • Posty: 3352
  • Otrzymane podziękowania: 15132
Coś się zaczęło dziać z moim Łokietkiem. Macie jakiś pomysł? Czego to może być objaw?

Pozdrawiam, Tomek

Mój ogród jest mym najpiękniejszym arcydziełem (Claude Monet)

Ogród na kółkach
Administrator wyłączył możliwość publicznego pisania postów.
Za tę wiadomość podziękował(a): th

Gdy rodek stwarza problem 2020/06/20 21:10 #205650

  • takasobie
  • takasobie Avatar
  • Wylogowany
  • Moderator
  • Posty: 17184
  • Otrzymane podziękowania: 55586
Mi wygląda to na początki zasolenia. miewam takie objawy w miejscach bliżej domu, gdzie działają różne chemie budowlane z zapraw.
Administrator wyłączył możliwość publicznego pisania postów.
Za tę wiadomość podziękował(a): th, dultom

Gdy rodek stwarza problem 2020/06/21 11:54 #205706

  • dultom
  • dultom Avatar
  • Wylogowany
  • Platynowy forowicz
  • Posty: 3352
  • Otrzymane podziękowania: 15132
Możliwe, nigdy nie wiadomo, co murarze tu zostawili. Co prawda stanowisko nie jest przy samym domu, znacznie dalej, ale to niczego nie wyklucza. Na wiosnę niewiele go nawoziłem, pół konewki rozpuszczonego w stosunku 1:10 krowieńca, naturalny nawóz chyba nie powinien gleby zasolić, za to może podobno zasolić siarczan amonu. Ale też za dużo go przecież nie sypałem. Tak czy siak, dopóki jest młody, nosze się z myślą przesadzenia, znalazłem mu nowe miejsce, bardziej cieniste, więc przy okazji można przepłukać korzenie.
Pozdrawiam, Tomek

Mój ogród jest mym najpiękniejszym arcydziełem (Claude Monet)

Ogród na kółkach
Ostatnio zmieniany: 2020/06/21 11:55 przez dultom.
Administrator wyłączył możliwość publicznego pisania postów.

Gdy rodek stwarza problem 2020/06/21 17:30 #205736

  • takasobie
  • takasobie Avatar
  • Wylogowany
  • Moderator
  • Posty: 17184
  • Otrzymane podziękowania: 55586
To dobry pomysł, rodki bardzo dobrze znoszą przesadzanie bo maja płytki system korzeniowy.
Ja w zasadzie rodków nie zasilam. Krowieniec za mocny, niezbyt dobry skład. Ja do kwaśnego torfu dodaję tylko fusy od kawy i zmieloną korę. Nic więcej. To wystarcza.
Administrator wyłączył możliwość publicznego pisania postów.
Za tę wiadomość podziękował(a): th, dultom

Gdy rodek stwarza problem 2020/11/14 22:08 #218167

  • edulkot
  • edulkot Avatar
  • Wylogowany
  • Moderator
  • Posty: 11122
  • Otrzymane podziękowania: 27068
Wysadzałam z doniczek do gruntu rodki z wiosennych zakupów, zaczęłam od azalii nadbrzeżnej, zaniepokoiła mnie narośl u podstawy pędu, mam podejrzenie że to są guzy think:



Majka - "Pamiętajcie o ogrodach"
Administrator wyłączył możliwość publicznego pisania postów.
Za tę wiadomość podziękował(a): th, zanetatacz, dultom
Moderatorzy: th
Czas generowania strony: 0.202 s.